Zemljište 1.200 m², Remete - mirna pozicija na kraju slijepe ulice

Zemljište 1.200 m², Remete - mirna pozicija na kraju slijepe ulice

350 000 €
Kontakt
Direktni kontakt za ovaj oglas
Lokacija
Grad Zagreb, Maksimir, Remete
Ulica
Gospočak
Površina parcele
1200 m²
Šifra objekta
I35438

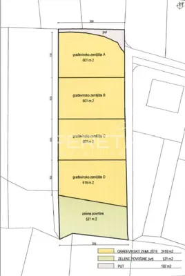
Prodaje se zemljište površine 1.200 m² u Remetama, Gospočak. Pravilnog je oblika, blagog nagiba i pogodno za izgradnju jednog ili dva objekta, svaki s maksimalno 400 BRP-a.

Idealno je za gradnju urbanih vila ili obiteljskih kuća. Nalazi se na odličnoj i mirnoj poziciji na kraju slijepe ulice, s južnom orijentacijom i lijepim pogledom prema gradu.

Sve komunalije nalaze se odmah kraj parcele. Postoji i mogućnost kupnje zasebnih parcela od 600 m².

Prikaz je orijentacijski; točna lokacija može biti približna.

Dodatne informacije

Podaci o oglasu
Oglas predan: 25.04.2026. Zadnja izmjena: 28.04.2026.
Zemljište
Građevinsko Stambena